Cabin Home
Photos
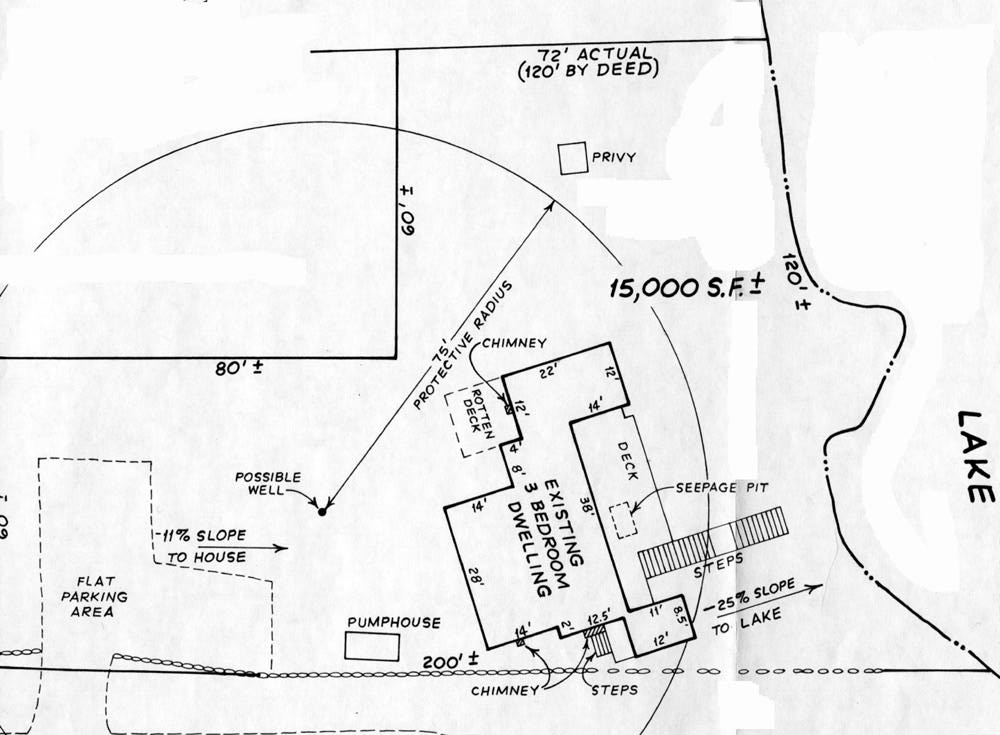
Site Plan
Flora & Fauna